a) MEA (Minimum Enroute Altitude)
- Ensures a navigation signal strong enough for adequate reception by the aircraft navigation (NAV) receiver
- Obstacle clearance along the entire airway.

FlightInsight. (2021). MEA? MOCA? OROCA? IFR Altitudes Explained. https://www.flight-insight.com/post/mea-moca-oroca-ifr-altitudes-explained
How much?
- within the limit of the airway,
- Mountainous area: 2,000 feet above the highest obstacle within a horizontal distance of 4NM from the course to be flown
- Non-mountainous area: 1,000 feet above the highest obstacle within a horizontal distance of 4NM from the course to be flown.
* MEA GAP: MEAs can be authorized with breaks in the signal coverage
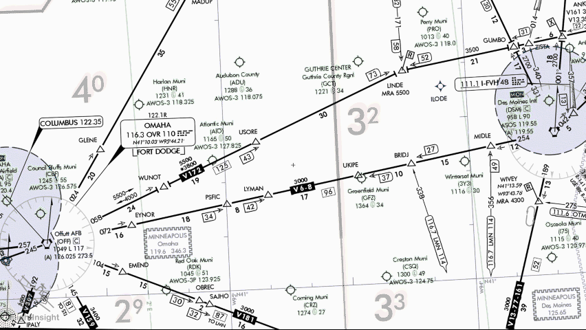
How is it charted on the chart? eg) 9000 →

- Arrows are used to indicate the direction.
b) RNAV Minimum En Route Altitude, GPS(GNSS) MEA, G-MEA// eg)4000G

- Guarantees obstacle clearance using GPS for navigation (needs alternate means of navigation)
*GPS 사용에 대해서는 GPS 이외의 다른 것들을 사용할 수 있어야 한다. 예를 들어
T route 의 경우 GPS 를 사용하는 Tango route 인데, 이 때는 GPS 를 back up 해 줄 수 있는 WAAS 가 있어야 한다. 또는 Tango route 와 VOR route 가 겹칠 경우도 마찬가지다. GPS 를 대체 할 VOR 이라는 것이 있어야 가능하다. 이런 이유로 WAAS 가 있어야 Tango route 를 사용가능하다고 하는 이유는, T-route 는 VOR airways 와 떨어져 있는 경우가 많기 때문에 GPS+ WAAS 가 되어야 가능하다고 한다.

FlightInsight. (2021). MEA? MOCA? OROCA? IFR Altitudes Explained. https://www.flight-insight.com/post/mea-moca-oroca-ifr-altitudes-explained
* G-MEA 의 경우 고도가 더 낮은 것은/ V airways 의 경우 VOR 신호는 바닥에서 쏘기 때문에 장애물에 걸려 수신고도가 높으나 GPS 로 신호를 받는 경우 그런 장애물이 없어 고도를 낮출 수 있다.
* T route: Low altitude RVA route by using WAAS (TSO-145)
- If your aircraft is equipped with a WAAS, you can use that Tango route.
*WAAS: Wide-area Augmentation System
>MEA, G MEA, MOCA 에 대한 고도 비교
- MEA: VOR signal + obstacle clearance 로 고도가 높다
- G MEA: GPS signal (back up with WAAS or VOR) + obstacle clearance 로 그 다음 고도
- MOCA: VOR signal (22NM) + Obstacle clearance
GNSS MEA 의 고도
This change will facilitate IFR certified GNSS equipped aircraft to fly below published MEAs, but no lower than Minimum Obstruction Clearance Altitudes, Minimum IFR Altitudes, or Minimum Vectoring Altitudes, regardless of radar coverage. This would apply to all applicable airways, rather than being limited to those published with GNSS MEA minimums
>FAA. (2017). Clearances to GNSS Equipped Aircraft Below the MEA. https://www.faa.gov/documentLibrary/media/Notice/N_JO_7110.741_Clearances_to_GNSS_Equipped_Aircraft_Below_the_MEA.pdf
GPS and WAAS
> GPS 는 GNSS 에 포함된 것
GNSS (or Global Navigation Satellite System) is a broad term encompassing different types of satellite-based positioning, navigation and timing (PNT) systems used globally. GPS (or Global Positioning System) is one such type of Global Navigation Satellite System.
(Thornton, W., (2021).
What’s the Difference Between GNSS and GPS?. https://www.spirent.com/blogs/what-is-the-difference-between-gnss-and-gps)
(AIM, http://www.faraim.org.s3-website-us-east-1.amazonaws.com/aim/aim-4-03-14-55.html)
> GPS (TSO-C129 (as revised) or TSO-C196
(as revised)) domestic en route and terminal IFR operations can be conducted as soon as proper avionics systems are installed, provided all general requirements are met. For required backup navigation, the avionics necessary to receive all of the ground−based facilities appropriate for the flight to the destination airport and any required alternate airport must be installed and operational. Ground−based facilities necessary for en route and terminal operations must also be in service.
> GPS/WAAS (TSO-C145, TSO-C146)
A single GPS/WAAS receiver (TSO-C145 (as revised) or TSO-C146 (as revised))
may also be used for these domestic en route and terminal IFR operations. Though not required, operators may consider retaining backup navigation equipment in their aircraft to guard against potential outages or interference
위에서 보면 알 수 있지만, 일반 GPs 의 경우 Ground based NAVAID 가 유지되고 있어야 하나 WAAS 의 경우에는 그렇게 될 필요가 없다.
※ Fault Detection and Exclusion (FDE)
GPS receivers with Fault Detection and Exclusion (FDE) allows pilots to file to either their destination or alternate airport based on GPS lines of minima, but not both. In other words, equipment appropriate to the approach—for example, VOR or ILS—must be installed and operational to use for an approach at either the destination or alternate airport. Also, remember that GPS is supplemental for enroute operations—you must still have navigational equipment installed that is satisfactory for the route of flight. Pilots solely using GPS equipment for RNAV operations must conduct a GPS RAIM check for their route of flight.
(AOPA. (n.d.) AIR TRAFFIC SERVICES BRIEF -- WIDE AREA AUGMENTATION SYSTEM (WAAS). https://www.aopa.org/advocacy/advocacy-briefs/air-traffic-services-brief-wide-area-augmentation-system-waas)
(c) MOCA (Minimum Obstruction Clearance Altitude)
- It guarantees obstacle clearance along entire route
- guarantees signal receiption within 22 NM (25 SM) of VOR (main difference from MEA)
- This is to maintain obstacle clearance in normal climb to higher MEA after the aircraft passes a point which the higher MEA applies
How it charted on the chart?
: eg) *5300
(d) MRA (Minimum Reception Altitude)
- IT is the lowest altitude at which an intersection can be determined from a off-airway NAVAID (Cross radial)
- Not mandatory
How it charts on the chart?
eg) MRA 6000
- If you want to receive that signal over LINDE, you should at or above 6000 feet.
- When the MRA at the fix is higher than the MEA, an MRA is established for the fix and is the lowest altitude at which an intersection can be determined.

(e) MCA (Minimum Crossing Altitude)
- Pilot must cross the fix at or above MCA.
- Mandatory.
How it chart on the chart?
eg) V16 5500 E

(f) MAA (Maximum authorized altitude)
- It is the highest altitude at which the airway can be flown with an assurance of receiving adequate navigational signal
How it chart on the chart?
eg) MAA-15000

(g) OROCA (Off-route Obstacle Clearance Altitude)
- Guarantees obstacle clearance when flying off-airways.
- No signal reception is guaranteed (See VOR service volume)
- 보통 radar vector 받고, Lost communication 때 사용가능

(h) MVA (Minimum Vectoring Altitude)
- The lowest altitude ATC can use when radar vectors aircraft in give sector.
- This altitude is not published, but you can ask to ATC.
- ATC 에서 일하는 분께 물어 봤더니 자기들의 Radar monitor 에는 표시된다고 함.

(i) Altitude Change
- It is used when MEA, MOCA, MAA change in a segment other than at a NAVAID.
- When a change of MEA to a higher MEA is required, the climb may commence at the break, ensuring obstacle clearance.

'✈ 비행과 공부 > CFII' 카테고리의 다른 글
| Departure Enroute, Arrival// Federal Airways, route information (0) | 2023.10.12 |
|---|---|
| Enroute and Arrival procedure, clearance (1) | 2023.10.11 |
| FAA Medical exam (appointment) (0) | 2023.10.10 |
| Departure Procedures (2) | 2023.10.10 |
| Departure, Enroute, Arrival- Compliance with Departure, Enroute and Arrival (1) | 2023.10.09 |
댓글